Town of Chapel Hill, NC
Home MenuChrist Community Church
Special Use Permit
Applicant Name: Byron Peters
Project Address: 141 Erwin Rd.
Project Number: 19-119
Orange County PIN: 9799-39-9116 & 9799-49-0235
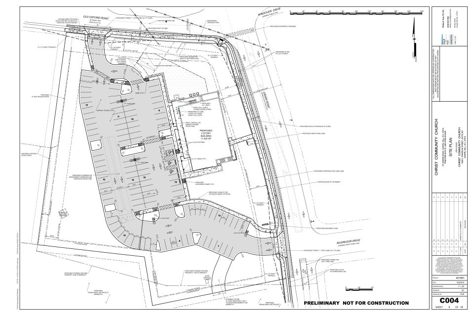
Description: On the 2.82-acre parcel, the existing day care, residential buildings and most of the outbuildings will be re-purposed and removed. A new 11,420 SF church, consisting of a worship area, fellowship area, classrooms, and church office is proposed. The site will include on-site parking, stormwater controls, buffer plantings and fencing, and widening, curb and sidewalk along both Old Oxford and Erwin Road frontages. There will be no use on the site other than a worship facility.
| Event | Date | Location and Time |
| Concept Plan Application Submitted | 12-31-2018 | NA |
| Concept Plan - Community Design Commission | 1-22-2019 | 6:30 pm, Town Hall, Council Chambers |
| Concept Plan - Town Council | 3-20-2019 | 7:00 pm, Town Hall, Council Chambers |
| Special Use Permit Application Submitted | 9-26-2019 | NA |
| Special Use Permit - Public Information Meeting | 10-17-2019 | 5:15 pm, Town Hall, Room 102 |
| Special Use Permit - Community Design Commission | 4-27-2020 | 6:30 pm, Virtual – Check Town Calendar |
| Special Use Permit - Transportation and Connectivity Advisory Board | 4-28-2020 | 7:00 pm, Virtual – Check Town Calendar |
| Special Use Permit - Stormwater Management Utility Board | 4-29-2020 | 6:00 pm, Virtual – Check Town Calendar |
| Special Use Permit - Planning Commission | 5-5-2020 | 7:00 pm, Virtual – Check Town Calendar |
| Special Use Permit - Environmental Stewardship Advisory Board | 5-12-2020 | 7:00 pm, Virtual – Check Town Calendar |
Special Use Permit Application 9-26-2019
- SUP Plan Set (plans dated August 28, 2019)
- SUP Plan Set (plans revised November 17, 2019)
- SUP Application
- Developers Narrative
- Traffic Impact Study- Executive Summary
- Traffic Impact Study-Full Report
- Stormwater Report
Concept Plan Application 12-31-2018
Concept Plan Application
A Concept Plan is a preliminary step toward the preparation of a formal development plan. The Chapel Hill Land Use Management Ordinance (LUMO) requires concept plan review prior to application submittal for a Special Use Permit, Major Land Use Plan, Major Subdivision, Conditional Rezoning, or Site Plan for development meeting minimum size thresholds.
Applicant Name: Christ Community Church, Byron Peters
Project Address: 141 Erwin Road
Project Number: 18-137
Orange County PIN: 9799-39-9116, 9799-49-0235
Description: Build a Phase 1 worship/ fellowship/ church office building with about 120 parking spaces. Future Phase 2 will consist of a second worship building.
