Town of Chapel Hill, NC
Home Menu
Find A Service
Services
South Infrastructure
Application Type: Development Agreement Compliance Permit (DACP)
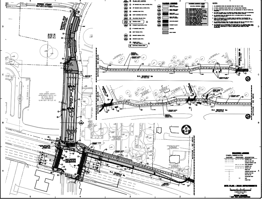
Description: Infrastructure improvements required for the southern end of the proposed development. Glen Lennox South Infrastructure features the realignment of Hamilton Road, NC HWY 54 off-site roadway improvements, reconfiguration of Glen Lennox Shopping Center parking lot and all corresponding infrastructure.
Glen Lennox South Infrastructure Documents:
C0103-Enlarged GL Tree Survey N-GLS Infra Ph1
C0104-Enlarged GL Tree Survey S-GLS Infra Ph1
C1002-Tree Canopy-GLS Infra Ph 1
C3101-Hamilton Road P&P-GLS Infra Ph 1
L0001-1 Woonerf Materials Plan-GLS Infra Ph 1
L0002-1 South Enlargement Plan-GLS Infra Ph 1
